Skip to search
Skip to main content
Skip to first result
Yale University Library
Saved Items
Access Requests
Ask Yale Library
Reserve Rooms
Places to Study
Research
Search Quicksearch
Search Library Catalog
Search Digital Collections
Search Archives at Yale
Research Guides
Find Databases by Title
Find eJournals by Title
Guide to Using Special Collections
Services
Request Digital Copies of Special Collections
Your Personal Librarian
Subject Specialists
Research Support and Workshops
Citation Tools
Get It @ Yale (Borrow Direct, Interlibrary Loan, Scan & Deliver)
Course Reserves
Off-Campus Access
EliScholar
OverDrive: Popular Audio and eBooks
Bass Media Equipment
Libraries & Collections
Arts Library
Bass Library
Beinecke Library
Classics Library
Divinity Library
Yale Film Archive
Fortunoff Archive
Humanities Collections
International Collections
Law Library
Lewis Walpole Library
Library Collection Services
Manuscripts & Archives
Map Collection
Marx Science & Social Science Library
Medical Library
Music Library
Sterling Library
Yale Center for British Art
Information & Policies
Library Hours
Departments & Staff
Borrowing & Circulation
Services for Persons with Disabilities
Copyright Basics
Scanning, Printing & Copying
Computers & Wireless
Library Policies
About the Library
Giving to the Library
Purchase Request
Working at the Library
Terms Governing Use of Materials
Search in
All Fields
Creator
Title
Call Number
Date
Subject
Orbis ID
Full Text
Description
Full text
search for
Search
Search
Advanced Search
Digital Collections
Search
You Searched For
Subject (Topic)
Guinea pig pancreatic slice stimulated in vitro EMAR
New Search
1
-
4
of
4
Sort
by Relevance
Relevance
Creator (A --> Z)
Creator (Z --> A)
Title (A --> Z)
Title (Z --> A)
Year (ascending)
Year (descending)
Number of results to display per page
9
per page
9
per page
30
per page
60
per page
99
per page
View results as:
List
List
Gallery
Gallery
Search Results
1.
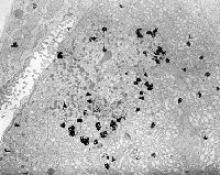
Guinea pig pancreatic slice in vitro EMAR 3min pulse + 17 min chase after 180 min stimulation 0.01 mM carbachol
Creator:
Jamieson, James D
Image Count:
1
Resource Type:
Prints & Photographs
Description:
3.25 in. x 4 in. Lantern Slides
Publisher:
Yale University School of Medicine
Subject (Name):
Jamieson, James D
Subject (Topic):
Guinea pig pancreatic slice stimulated in vitro EMAR
Found in:
Medical Historical Library, Cushing/Whitney Medical Library
>
Guinea pig pancreatic slice in vitro EMAR 3min pulse + 17 min chase after 180 min stimulation 0.01 mM carbachol
2.
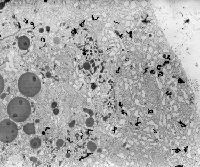
Guinea pig pancreatic slice in vitro EMAR 3min pulse + 7 min chase after 180 min stimulation 0.01 mM carbachol
Creator:
Jamieson, James D
Published / Created:
1/1/1945
Image Count:
1
Resource Type:
Prints & Photographs
Description:
3.25 in. x 4 in. Lantern Slides
Publisher:
Yale University School of Medicine
Subject (Name):
Jamieson, James D
Subject (Topic):
Guinea pig pancreatic slice stimulated in vitro EMAR
Found in:
Medical Historical Library, Cushing/Whitney Medical Library
>
Guinea pig pancreatic slice in vitro EMAR 3min pulse + 7 min chase after 180 min stimulation 0.01 mM carbachol
3.
Guinea pig pancreatic slice in vitro EMAR 3min pulse after 180 min stimulation 0.01 mM carbachol
Creator:
Jamieson, James D
Published / Created:
11/11/1972
Image Count:
1
Resource Type:
Prints & Photographs
Description:
3.25 in. x 4 in. Lantern Slides
Publisher:
Yale University School of Medicine
Subject (Name):
Jamieson, James D
Subject (Topic):
Guinea pig pancreatic slice stimulated in vitro EMAR
Found in:
Medical Historical Library, Cushing/Whitney Medical Library
>
Guinea pig pancreatic slice in vitro EMAR 3min pulse after 180 min stimulation 0.01 mM carbachol
4.
Guinea pig pancreatic slice in vitro EMAR 3min pulse after 180 min stimulation with 0.01mM carbachol
Creator:
Jamieson, James D
Published / Created:
12/12/1963
Image Count:
1
Resource Type:
Prints & Photographs
Description:
3.25 in. x 4 in. Lantern Slides
Publisher:
Yale University School of Medicine
Subject (Name):
Jamieson, James D
Subject (Topic):
Guinea pig pancreatic slice stimulated in vitro EMAR
Found in:
Medical Historical Library, Cushing/Whitney Medical Library
>
Guinea pig pancreatic slice in vitro EMAR 3min pulse after 180 min stimulation with 0.01mM carbachol
Limit your search
Extent of Digitization
Unspecified
4
Access
Public
4
Repository
Medical Historical Library, Cushing/Whitney Medical Library
4
Format
still image
4
Genre
electron microscopic autoradiograph
4
Resource Type
Prints & Photographs
4
Creator
Jamieson, James D
4
Subject (Topic)
Guinea pig pancreatic slice stimulated in vitro EMAR
✖
[remove]
4
Subject (Name)
Jamieson, James D
4
Publication Place
New Haven, CT
4